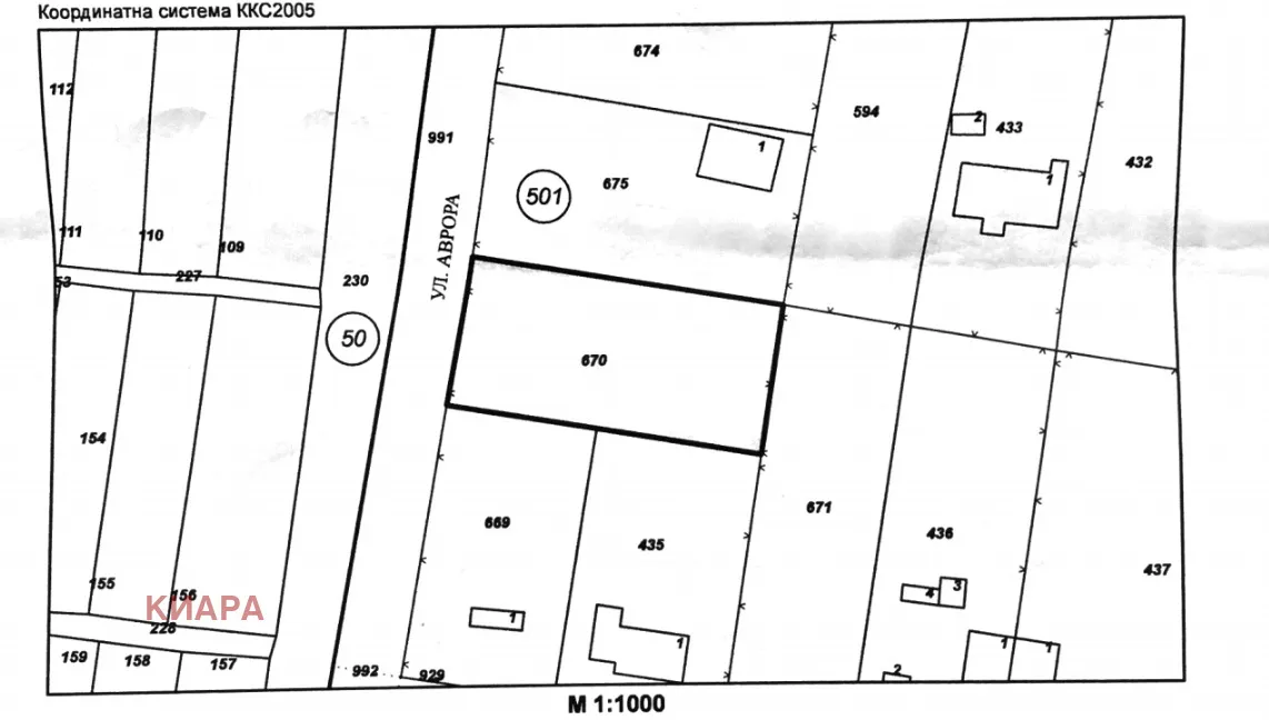
Агенция за недвижими имоти КИАРА, предлага на Вашето внимание продажба на УПИ/ парцел/ в с. Ветрен, общ. Силистра, с площ от 1130 кв.м. с предназначение- Урбанизирана територия, с ниско застрояване до 10 м. Парцела предлага възможност за различни строителни и инвестиционни проекти и с локацията си на ул. Аврора осигурява необходимите инфраструктурни връзки. Агенцията предлага индивидуално и безплатно правно обслужване във връзка с покупката или продажбата на вашия недвожим имот, както и пълно съдействие при избора на финансова институция, която да кредитира Вашият бъдещ имот. Ангажираме се да подготвим всички документи, необходими за покупко-продажбата и при кандидатстване за банков кредит.
За повече информация се свържете с нас на телефон 0877 830 023. Очакваме Ви!
1 / 1









Парцел, Ветрен, Бургас
€4,300 / 8,410 лв.
(€4 / 8 лв. / кв.м)
Характеристики
квадратура
Описание
Прочети още
Ипотечен кредитен калкулатор
Бургас Ветрен Парцел
Зареждаме...
