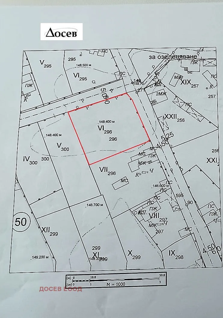
Продавам урегулиран поземлен имот в село Коларово за жилищно строителсто. Имотът е с лице на две улици. Оглед по всяко време след предварителна уговорка по телефона.
1 / 7

















Парцел, Чирпан, Югоизточна България
€53,000 / 103,659 лв.
(€37 / 72 лв. / кв.м)
Характеристики
квадратура
Описание
Прочети още
Ипотечен кредитен калкулатор
Зареждаме...
